Field Campaigns¶
Steve Nesbitt has participated in 27 major field campaigns spanning 1998–2025, spanning roles from radiosonde scientist and aircraft scientist to principal investigator of large multi-agency international deployments.
Recent Campaigns (2018–2025)¶
RELAMPAGO-CACTI (2018–2019)¶
Remote sensing of Electrification, Lightning, And Mesoscale/microscale Processes with Adaptive Ground Observations — Cloud, Aerosol, and Complex Terrain Interactions
Córdoba, Argentina

Credit: U.S. Department of Energy Atmospheric Radiation Measurement (ARM) program
Lead Principal Investigator of a $25M+ joint NSF/DOE/NASA/NOAA initiative deploying over 100 scientists across 7 agencies in Argentina. RELAMPAGO-CACTI studied extreme convective storms, orographic convection, and cloud microphysics in the lee of the Andes — one of the world's most prolific regions for deep convection.
CROCUS — Urban Climate Initiatives (2024–2025)¶
Community Research on Climate and Urban Science
Chicago, IL

Credit: Argonne National Laboratory
Principal Investigator. DOE-funded study of urban effects on precipitation, flooding, and the local water cycle in the greater Chicago metropolitan area.
Lake Effect Snow Microphysics (2022–2024)¶
Buffalo, NY

Credit: Wikimedia Commons, CC BY-SA 4.0
Study of microphysical processes in lake-effect snowstorms using polarimetric radar and in situ aircraft observations.
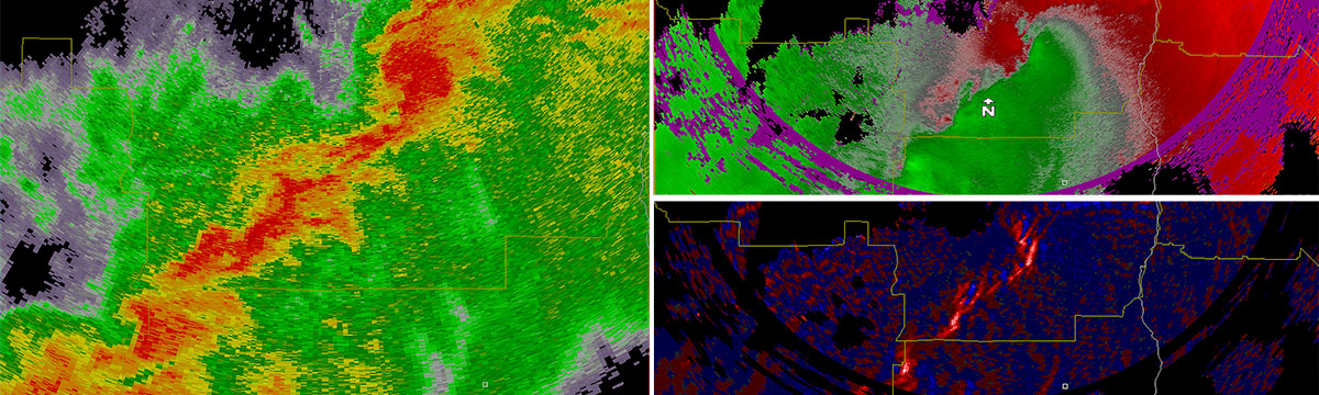
PERiLS (2022–2023)¶
Propagation, Evolution, and Rotation in Linear Storms
Southeastern United States

Credit: NOAA National Severe Storms Laboratory
Collaborative NSF/NOAA field campaign examining the mechanisms of tornado production and severe weather in quasi-linear convective systems. Deployed radars, mesonets, and uncrewed aerial systems across seven states; documented 16 tornadoes within multi-Doppler coverage.
CAMP²Ex (2019)¶
Cloud, Aerosol and Monsoon Processes Philippines Experiment
Philippines

Credit: ESPO, NASA
NASA field campaign studying aerosol-cloud-precipitation interactions in the maritime tropical environment. The P-3B and SPEC Learjet conducted 30 combined science flights in the vicinity of the Philippines, sampling convective cloud systems over the warm ocean west of Luzon.
Earlier Campaigns (up to 2015)¶
| Campaign | Years | Location | Role |
|---|---|---|---|
| OLYMPEX — Olympic Mountain Experiment | 2015 | Olympic Peninsula, WA | Co-I, NASA GPM Ground Validation |
| NSF OPEL-WG — Orographic Precipitation & Extremes, Western Ghats | 2008–2011 | Karnataka, India | Principal Investigator |
| GCPEX — GPM Cold-season Precipitation Experiment | 2011–2012 | Ontario, Canada | Co-I, NASA GPM Ground Validation |
| Various NASA/NSF field missions | 2004–2007 | Global | Scientist / Co-I |
| TRMM-related campaigns | 2000–2004 | Various tropical sites | Scientist |
| KWAJEX — Kwajalein Experiment | 1999 | Kwajalein Atoll, Marshall Islands | Scientist |
| CAMEX-3 — Convection And Moisture Experiment | 1998 | Florida / Caribbean | Aircraft Scientist |
| TEFLUN-A — Texas-Florida Underflight | 1998 | Texas | Radiosonde Scientist |